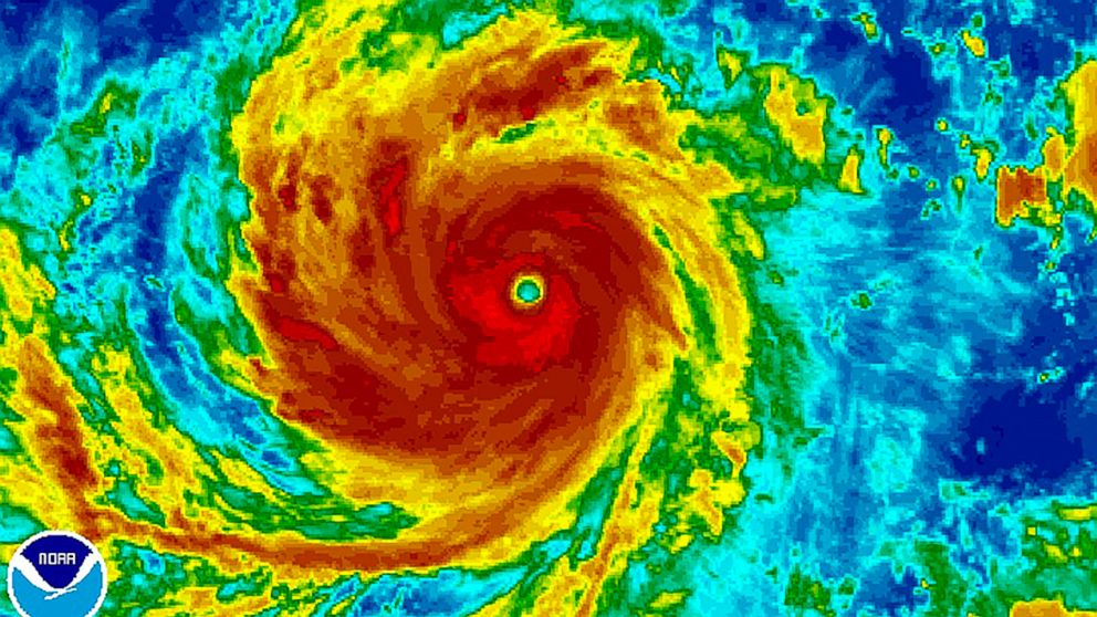
Super Typhoon Soudelor, which wreaked havoc on Saipan earlier this week, continued its rampage through the Pacific on Wednesday, with forecasters now predicting it will hit typhoon-prone Taiwan on Friday as the equivalent of Category 4 hurricane, with winds of up to 140 mph.
When it plowed through Saipan — one of the Northern Marianna Islands, about 3,800 miles from Hawaii — on Sunday night and early Monday morning, Soudelor had sustained winds of about 100 mph and gusts up to 120 mph, more than enough to cause extensive destruction for the U.S. commonwealth and its 48,000 residents. The storm flooded Saipan’s power plant, knocked out electricity for the entire island, and authorities declared a state of emergency and disaster, reporting widespread damage to homes and businesses.
Though no deaths were reported, 10 people were treated for injuries sustained in the storm, and hundreds were forced into shelters. Soudelor’s winds subsequently strengthened to nearly 180 mph, making it the biggest and strongest storm in the world thus far this year, weather experts say.Bank of Hawaii, which has branches in Saipan, announced special financial assistance programs for the island on Wednesday, including immediate low-interest loans for emergency supplies and living essentials and repairs for homes and automobiles. First Hawaiian Bank, which also has branches on Saipan, announced a $25,000 donation toward relief efforts on Tuesday.
The Salvation Army-Hawaiian and Pacific Islands, is collecting online donations for Saipan relief efforts.
Soudelor weakened somewhat on Wednesday, with sustained winds falling to 115 mph, but is expected to encounter more favorable conditions and strengthen considerably before reaching Taiwan on Friday.
Read more from our partners at the Huffington Post.
GET IN-DEPTH
REPORTING ON HAWAII’S BIGGEST ISSUES
What it means to support Civil Beat.
Supporting Civil Beat means you’re investing in a newsroom that can devote months to investigate corruption. It means we can cover vulnerable, overlooked communities because those stories matter. And, it means we serve you. And only you.
Donate today and help sustain the kind of journalism Hawaiʻi cannot afford to lose.

